About 246 Walnut St
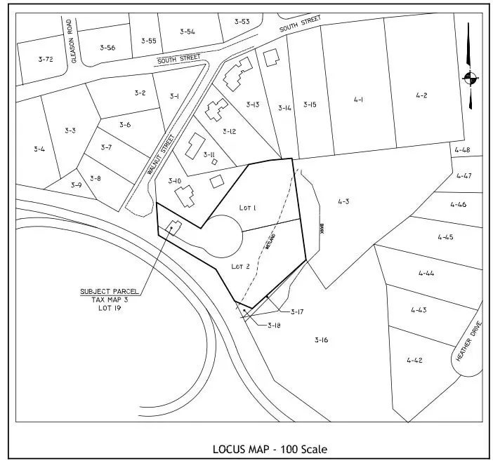
Developer Alert – 2 Approved Buildable Lots in Prime Reading Location! While there is an existing single-family home on-site, the true value lies in the land. Builders & developers—capitalize on this rare opportunity in high-demand Reading. This offering includes two fully buildable lots with approved site plans and modification approvals for overhead utilities, berm, and a 16’ privacy fence: Lot 1: 27,895 sq. ft. and Lot 2: 20,058 sq. ft. Approved for a 4,500 sq. ft. home on each lot, with potential to build up to 5,500 sq. ft. including finished basement. All major approvals in place: Approved subdivision & site plans; Decision of Approvals & Order of Condition; Utility access (electric, public water/sewer at street). Exceptional location – Minutes to downtown Reading, commuter rail, and I-93. Documentation available upon request: Site plans, layouts, permits & building plans and more!
Features of 246 Walnut St
| MLS® # | 73407978 |
|---|---|
| Price | $899,000 |
| Bedrooms | 3 |
| Bathrooms | 1.00 |
| Full Baths | 1 |
| Square Footage | 1,584 |
| Acres | 2.02 |
| Year Built | 1961 |
| Type | Residential |
| Sub-Type | Single Family Residence |
| Style | Cape |
| Status | Active |
Community Information
| Address | 246 Walnut St |
|---|---|
| City | Reading |
| County | Middlesex |
| State | MA |
| Zip Code | 01867-3951 |
Amenities
| Parking Spaces | 20 |
|---|---|
| Is Waterfront | No |
| Has Pool | No |
Interior
| Fireplace | Yes |
|---|
Additional Information
| Zoning | S20 |
|---|
Listing Details
| Agent | Cheryl Pendenza |
|---|---|
| Office | RE/MAX Andrew Realty Services |
